
Buck moth caterpillars (early instar) 
Mating meadowhawks, 8/02, Peat pond 
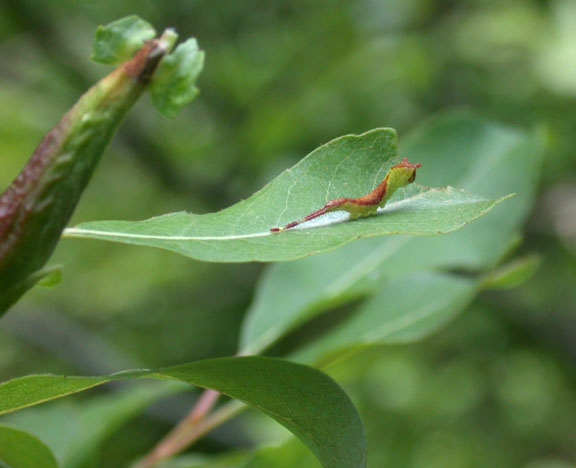
White furcula caterpillar on willow 
Caterpillar on Joe Pye weed 
Immature bug (hemiptera) 
Buck moth caterpillar (later instar) 
Male damselfly caught in sundew 
Fishing spider, Dolomedes sp